Property
Beds
None
Full Baths
None
1/2 Baths
None
Year Built
None
Lot size
2.0 acres
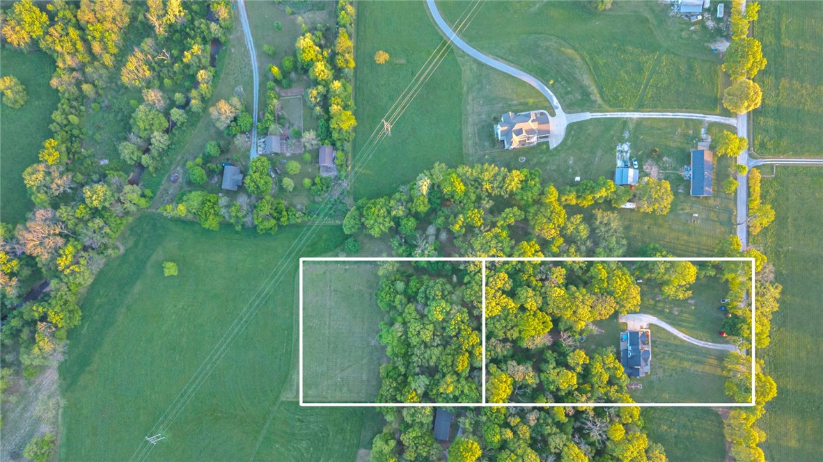
Create the lifestyle you’ve been dreaming of on this beautiful 2-acre property offering the perfect blend of open space and natural privacy. With approximately 1 acre cleared and 1 acre wooded, you’ll have the flexibility to design and build your custom home exactly how you envision it. Enjoy wide open skies, room to roam, and space for everything from outdoor entertaining to riding dirt bikes and making memories under the stars. Whether it’s hosting gatherings, watching fireworks light up the night, or taking in breathtaking sunsets, this land invites you to live freely and fully. Peaceful and private, yet conveniently located near Bentonville, Rogers, and all that Northwest Arkansas has to offer. A rare opportunity to own land that truly feels like home. Additional acreage available in conjunction with adjacent home listing—see MLS listing 1343563 and listing 1343927 for details.
Features & Amenities
Interior
-
Total Bedrooms
N/A
-
Bathrooms
N/A
-
Pet friendly
N/A
Exterior
-
Garage
No
-
Pool
No
Area & Lot
-
Lot Features
Level, Cleared, Wooded, Open Lot, Secluded
-
Lot Size(acres)
2.0
-
Property Type
Land
Price
-
Sales Price
$250,000
-
Tax Amount
$460
-
Sq. Footage
N/A
-
Price/SqFt
N/A
HOA
-
Association
Yes
-
Association Fee 2 Frequency
Monthly
-
Association Fee Includes
N/A
School District
-
Elementary School
Bentonville
-
Middle School
N/A
-
High School
N/A
Property Features
-
Sewer
Septic Needed
-
Tax Lot
6 B/C
Schedule a Showing
Showing scheduled successfully.
Mortgage calculator
Estimate your monthly mortgage payment, including the principal and interest, property taxes, and HOA. Adjust the values to generate a more accurate rate.
Your payment
Principal and Interest:
$
Property taxes:
$
HOA fees:
$
Total loan payment:
$
Total interest amount:
$
Location
County
Benton
Elementary School
Bentonville
Middle School
High School
Listing Courtesy of Charity Stevens , Sudar Group- Fayetteville
RealHub Information is provided exclusively for consumers' personal, non-commercial use, and it may not be used for any purpose other than to identify prospective properties consumers may be interested in purchasing. All information deemed reliable but not guaranteed and should be independently verified. All properties are subject to prior sale, change or withdrawal. RealHub website owner shall not be responsible for any typographical errors, misinformation, misprints and shall be held totally harmless.
REALTOR®
Karen Tillman
Call Karen today to schedule a private showing.
* Listings on this website come from the FMLS IDX Compilation and may be held by brokerage firms other than the owner of this website. The listing brokerage is identified in any listing details. Information is deemed reliable but is not guaranteed. If you believe any FMLS listing contains material that infringes your copyrighted work please click here to review our DMCA policy and learn how to submit a takedown request.© 2024 FMLS.